4.
Statistikaameti GIS andmebaas4.1 Statistikaameti GIS strateegia
4.1.1 Rahvaloenduse GIS
4.1.3 Teemakaartide loomine
4.1.4 Kaardid prooviloendusel
4.1.5 Andmete levitamine
4.1.6 Oma ja võõras tööjõud
4.1.7 Propaganda
4.1.8 Koostöö GISCOga
4.1.9 Põllumajandusloendus
4.4.1 GISi väikseim objekt
4.4.2 Loendusüksuste loomine
4.4.3 Linnalised ja maa-asulad
4.9 Aktualiseerimine
4.10 Soovitused
4 Statistikaameti GIS andmebaas
Statistikaameti GISi loomiseks tuleb eelnevalt sõnastada strateegia, mille baasil saab alustada süsteemiprojekteerimisega. Selles peatükis kirjeldatud strateegia on autori arvates parim, ta sisaldab juba vajalikul hulgal kompromisse ning arvestab reaalsete võimalusteha säilitades piisava hulga innovatiivsust. Kõik väited põhinevad eelmistes peatükkides toodud arutlustele, seetõttu ei ole neid uuesti põhjendatud.
Loomulikult ei pruugi Statistikaamet siintoodud strateegiat üksüheselt järgida.
Strateegia (kas selle või siis mõne teise) peaks vastu võtma hiljemalt 1997. aasta keskel, sest muidu ei jõua GISi loenduse ettevalmistuse ajaks valmis.
4.1 Statistikaameti GIS strateegiaStatistikaameti GIS ei ole ainult rahvaloenduse jaoks, vaid loodud rahvaloenduse initsiatiivil. Lähim ülesanne on rahvaloenduse ettevalmistamine, läbiviimine ja tulemuste analüüs, pikemas perspektiivis peab Statistikaameti GIS andma kõigile statistilistele analüüside tegijatelevõimaluse arvestada ruumiinfot.
4.1.1 Rahvaloenduse GISStatistikaamet tellib kaardistamistööd spetsialiseerunud ettevõtetelt. Rahvaloenduskaardid valmistatakse vastavalt spetsifikatsioonidele, mis on juba valminud. Alustatakse liikumist ühtsele andmemudelile, kus tiheasustus- ja hajaasustusalade GIS andmeid käsitletakse integreeritult.
Rahvaloenduskaartide valmistamiseks tuleb teha ulatuslikke välitöid. Selleks, et saavutada maksimaalne asukohatäpsus, kasutatakse võimalikult palju GPS-seadmeid.
Infot kogutakse linnade, alev-valdade, alevike, külade kohta nii omavalitsustest kui erakaarditootjatelt. Asulaid, mille ehitiste iseloom või elanike arv lubab oletada "urbaniseerunud" eluviisi, käsitletakse tiheasustusalana. Eesmärgiks on eemaldada kõik valged laigud hajaasustusalade kaardilt.
Kogutud info talletatakse Statistikaametis. Seni, kuni puuduvad vahendid "elusa" GISi haldamiseks, pakutakse kogutud andmeid lepingulisel alusel kasutamiseks tingimusel, et teine pool kohustub andmeid pidevalt kaasajastama ning andma hooldatud info Statistikaameti käsutusse tagasi nt 6 kuud enne rahvaloenduse toimumist. Kindlasti tuleks digitaaleid rahvaloenduskaarte pakkuda ka kohalikele omavalitsustele. Loodetavasti õnnestub nendega sõlmida ka andmete hooldusleping, kus omavalitsus kohustub andmebaasi kuni loenduse toimumiseni pidevalt kaasajastama.
Hoonete üheseks identifitseerimiseks luuakse identifikaatorite süsteem, millele taotletakse laialdast levikut. Statistikaameti GIS on avatud kõigile organisatsioonidele, kes soovivad oma andmeid sellega siduda. Eriti tihe koostöö luuakse hooneregistri, rahvastikuregistri ning katastriteenistusega.
Loenduse ettevalmistamises, läbiviimiseks, hilisemaks analüüsiks ning andmete esituseks genereeritakse GISi abil vajalikud piirkonnad. Need piirkonnad võivad ka üksteisest erineda. Analüüsipiirkonnad esitatakse registreerimiseks NUTSidena.
4.1.2 Aktualiseerimine peale loenduse toimumist
Peale rahvaloenduse toimumist ning loendusandmete töötlemist on Statistikaametil valida, kas hoida valminud GIS andmebaasi pidevalt korras (selleks kulub ca 20% tema koostamiseks kulunud vahenditest) või müüa/rentida/liisida GIS andmete aktuaalsena hoidmise kohustus kellegile edasi. Enne seda, kui loenduse tarbeks loodud GIS hakkab "oma elu elama" tuleb säilitada muidugi ka loenduse hetkel kehtinud situatsioon.
4.1.3 Teemakaartide loomine
Peale prooviloendust töötatakse välja Statistikaameti standardid väikesemõõtkavalistele teemakaartidele ning harjutatakse nende tootmist. Eesmärgiks on peale rahvaloendust saada valmis proffesionaalselt kõrgel tasemel teemakaardid 9-12 kuuga.
4.1.4 Kaardid prooviloendusel
Prooviloenduse jaoks valmistatakse kaardid 1997. aasta alguses. Prooviloenduse läbiviimisel kasutavad vähemalt kaks loendajat pen-based arvutit ning GPS seadet kontrollimaks selle tehnoloogia rakendatavust Eestis. Prooviloendusel saadud kogemuste põhjal lõpetatakse Statistikaameti GISi ehitamine.
4.1.5 Andmete levitamine
Statistikaameti GIS andmete levitamise puhul 1) ei sõlmita ainulitsentse; 2) säilitatakse avalik info ja julgustatakse juurdepääsu sellele; 3) antakse piiramatu kasutusõigus andmetele isiklikuks otstarbeks; 4) jälgitakse eriti rangelt privaatsust.
Andmete leviku piiramisega isikuandmete kaitse põhjendusel ei tohi ka liiale minna, andmeid ei tohi kinni hoida "igaks juhuks" vaid ainult väga konkreetse põhjendusega.
Rahvaloendustulemusi sisaldavale CD-ROMile lisatakse ka lihtne kaartide genereerimise võimalus. Olulisemate GIS-laiatarbeprogrammide jaoks lisatakse andmed nende failiformaadis.
WWW kaudu levitatakse infot rahvaloenduse ettevalmistamise, läbiviimise ning hilisema analüüsi kohta. Kaaluda tuleks osa kaartide Internetis avaldamist tasuta tõstmaks huvi Statistikaameti tegevuse vastu.
Praktiliselt kogu info tuleb tõlkida ka inglise keelde.
4.1.6 Oma ja võõras tööjõud
Digitaalkaartide areng on kitsendanud kaartidega tegelejate ringi, enam iga arhitektuuriosakond maakonnas GISiga hakkama ei saa. Eestis on ehk 2-4 ettevõtet, kes Statistikaameti GISi üles ehitada suudavad.
Statistikaametisse suure ja võimsa kartograafia- ja GISi üksuse loomine on liiga raske ülesanne, otstarbekam on piirduda ühe väga hea GIS projektijuhiga (ja tema kantseleiga) ning teha kõik tööd tellimuse korras.
Eestis ei ole firmasid, mis oleks ühtmoodi tugevad GISide ja "tavaliste" infosüsteemide tarnimisel, seetõttu tuleb arvestada mitme koostööpartneriga.
Tööd võib jagada ka omavalitsustele, kuid samas tagades nende piisava koolituse ning vastutuse kvaliteedi tagamisel.
4.1.7 Propaganda
Oma saavutusi tuleb teadvustada nii Eestis kohalikele omavalitsustele kui rahvusvahelisel areenil. Selleks saadetakse Eestis laiali regulaarselt tasuta andmeid, spetsifikatsioone, kodifikaatoreid jms.
Rahvusvahelisel areenil tuleb osaleda konverentsidel, avaldada artikleid jms.
Statistikaameti sõnumite levitamisel on oluline roll WWWl, Interneti kaudu tuleb teha kättesaadavaks osa andmebaase ja kaarte.
Avalikkusega suhetes rõhutakse infotehnoloogia abil tagatavale isikuandmete kaitsele.
Statistikaameti GISi sujuvaks funktsioneerimiseks on vajalik seadusandluse mõningane kohendamine või uute seaduste vastuvõtmine, eriti puudutab see autoriõigusseadust, andmekogude seadust, elukoha registreerimise seadust ning geodeetiliste ja kartograafiliste tööde tegemise korda.
4.1.8 Koostöö GISCOga
Rahvusvahelise koostöö raames tuleks kaaluda kontaktide loomist GISCOga (Geographic Information System of te Commission of the Europe), GISCO üks ülesandeid on luua side Euroopa ühise topograafilise aluskaardi ning Euroopa statistikasüsteemi (ESS) vahel (GISCO, 1996).
Esimese sammuna tuleb tellida GISCO Update ajakiri jms tema tegevust kirjeldavad materjalid.
4.1.9 Põllumajandusloendus
Rahvaloenduse GIS tuleb peale rahvaloenduse lõppu kasutusele põllumajandusloenduse ettevalmistamisel. Võimalik, et põllumajandusloenduse teatud nõudeid tuleb arvestada juba praegu rahvaloenduskaartide ettevalmistamisel.
4.2 Eelmiste rahvaloenduste kaardid
Eelmistel rahvaloendustel kasutati kaarte koos majavalduste nimekirjadega selleks, et koostada rahvaloenduse organiseerimisplaan (teha loenduslik rajoneerimine, arvestades elanike eeldatavat arvu loenduse toimumise ajal), loendajate tööpiirkondade piiritlemiseks ja loendajate orienteerumiseks maastikul (Tepp, 1996).
1989. aasta rahvaloenduse tarbeks koostasid vabariiklike linnade ja rajoonide TSN täitevkomiteede tellimusel linnade ja alevite kaarte:
Maapiirkondade ning enamiku tiheasustusega maa-asulate kaardid valmistas RPI "Eesti Põllumajandusprojekt" (vt Joonis 34 ja Joonis 35).
Tegemist ei olnud päris kaartidega, vaid pigem skeemidega, sest nendel puudub matemaatiline alus. Lisaks kehtisid ka teatud moonutamise nõuded. Näiteks tuli teha kõrvalekaldeid situatsioonis riigikaitselise iseloomuga objektide läheduses, objekte endid ei võinud kaardile üldse kanda.
Linnaliste asulate skemaatiliste plaanide (nii nimetati tiheasustusalade rahvaloenduskaarte) originaalid tuli saata kooskõlastamiseks ja kontrollimiseks sõjaväeringkonna staapi, suuremate alevike originaalid Balti Riikliku Geodeesia Järelvalve Territoriaalsesse Inspektsiooni (Juhend..., 1989).
Joonis 34 1979. aasta rahvaloenduskaardid. Vasakul hajaasustusala kaart (1:50 000 Eesti NSV Põlva rajooni administratiivse jagunemise kaart, valmistatud RPI Eesti Põllumajandusprojektis), paremal tiheasustusala kaart (1:5000 Tallinna skemaatiline plaan, valmistatud 1977 RPI Eesti Projektis).
Joonis 35 1989. aasta hajaasustusala rahvaloenduskaart Hiiumaa kohta 1:50 000 (RPI Eesti Põllumajandusprojekt 1987) näeb välja praktiliselt samasugune nagu kümme aastat vanem kaart, olulist edasiminekut kartograafilises kvaliteedis ei ole. Ühine kõigile vanadele rahvaloenduskaartidele on see, et nad on rabedal valguskoopia paberil ning murdejoontel hakkab info ära kuluma.

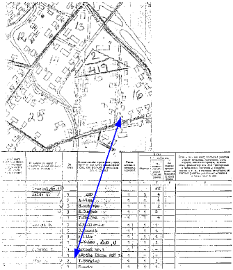
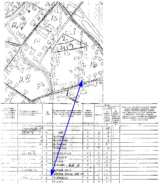
Joonis 36 1989. aasta tiheasustusala rahvaloenduskaart (Kärdla linn 1:5 000). Kaardiga seostati majavalduste nimestikud. Aadressi põhjal on võimalik seostada info GISiga.
4.2.1 Eelmiste loenduste kaartide kasutamine
Kaarte täpsustati välitööde ja majavalduste nimekirjade koostamise käigus loenduseelse aasta veebruari-märtsikuus. Selleks olid koostatud vastavad juhendid. Seejärel viidi parandused kaardi alusele ja valmistati rahvaloenduskaardid viies eksemplaris, millest üks jaotati loendajate vahel. Vahetult enne loendust (detsembri viimastel päevadel) tutvus iga loendaja oma piirkonna kaardi ning hoonete ja korterite nimekirjadega ning tegi vajalikud täiendused. Need täiendused 30. detsembri 1988. seisuga saadeti Statistikaametisse (suurusjärk - kustutati 56 hoonet ning juurde kanti 302 hoonet). Loenduskaardile neid parandusi enam ei tehtud.
4.2.2 Eelmiste loenduste kaartide säilitamineAinult tänu korrektsetele vanaaegsetele kaartidele on võimalik rekonstrueerida eelmise sajandi Tartu linnapilt. Kahjuks on rahvaloenduskaartide järjepidevuses viimase 50 aasta jooksul tekkinud mõningane auk. Kaarte küll kasutati, kuid tsensuuri range järelvalve all neid tahtlikult moonutades. Teiseks probleemiks on kerkimas 20-40 aastat vanade kaartide halb seisukord.
Viimase rahvaloenduse kaardid on arhiveeritud Statistikaametis, varasemate loenduste kaardid on antud arhiividesse. Enamasti on kaardid väga halvas seisukorras, kümneid aastaid tagasi tehtud valguskoopiate paber rebeneb, lisaks on kaarte intensiivselt kasutatud. Kui näiteks 1959. aasta kaarte ei päästeta lähema 2-5 aasta jooksul, siis muutuvad nad kasutuskõlbmatuks. Üks võimalus kaartide säilitamiseks on skaneerimine, kuid seegi ei ole eriti lihtne.
Enne 2000. aasta rahvaloendust ilmselt ei jõua, kuid hiljem saab skaneeritud kaartide abil siduda rahvaloenduste andmed üksteisega hoone tasemel ning seejärel teha nt detailseid rahvastikurände analüüse.
4.3 Kartograafiline materjal linnades aastal 1996Riigi Statistikaamet korraldas 1996. aasta aprillis linnade ja alev-valdade (edaspidi alevid) kartograafilise materjali kvaliteedi hindamiseks küsitluse (Tepp, 1996). Küsimustikule vastas 45 linna ja 11 alevit. Järgnev kirjeldus põhineb Lembit Tepp'i kokkuvõttel küsimustiku tulemustest, lisatud on vahepeal muutunud info ning kommentaarid. Rõhutada tuleb, et enamik vastuseid on asulate hinnang enda olukorrale, mida ei ole sõltumatult kontrollitud.
4.3.1 Olemasolevad kaardidEnne uute kaartide koostamist püüti saada ülevaadet, kas kõigis linnades ja alevites on olemas kaardid, millel on näidatud kõik hooned majanumbritega ja tänavad. Eitavalt vastasid 8 asulat (Antsla, Elva, Karksi-Nuia, Keila, Räpina, Lavassaare, Pärnu-Jaagupi ja Võsu), nendest kolmel (Antsla, Elva, Võsu) puuduvad kaardilt ainult aadressnumbrid. Enamik vastanutest lisasid, et kaardid on vananenud, pärast mõõdistamisi toimunud muudatused on üldjuhul kaartidele kandmata.
Täiesti ilma kaartideta väitsid ennast olevat Abja-Paluoja, Kunda ja Mustvee, Lavassaarel ei ole kogu territooriumi katvat materjali. Nende asulate kohta võivad materjalid aga mujal olemas olla.
Ainult 1/4 kaartidel oli märgitud valmimisaasta. Suurem osa neist on valmistatud ajavahemikus 1980-1989, aga on ka uuemaid ja vanemaid. Aastaarvu puudumine takistab oluliselt kaardi kasutamist suurt usaldatavust nõudvadel aladel, nt rahvaloenduses.
Kaartide otstarve on väga kirju - on geodeetilisi alusplaane, maakasutus- ja katastrikaarte, rahvaloenduseks tehtud plaane, planeeringukaarte, skemaatilisi plaane, turismikaarte jne. Enamik geodeetilisi plaane on tehtud Venemaale jäänud ettevõtete poolt, kaarte on teinud ka mitmed praeguseks lagunenud projektorganisatsioonid. Seetõttu on kaartide koostamise lähteandmed paljudes kohtades laiali.
4.3.2 Kaartide mõõtkava ja täpsus
Enamik kaarte on mõõtkavas 1:2000 (ca 50%), 1:5000 on 25% ja 1:500 15%. Ülejäänud kaardid jagunevad paljude eksootilisemate mõõtkavade vahel. Juhul, kui asulas on mitmes mõõtkavas kaarte, siis on 1:5000 kaardid saadud 1:2000 kaardi vähendamise teel.
Umbes 60% kaartidest on varustatud koordinaatvõrguga, mis teeb nende arvutisse sisestamise lihtsamaks. Enamasti on tegemist kohaliku koordinaatsüsteemiga, mille sidumine Eesti põhikaardi matemaatilise alusega on võimalik, kuid täpsus sõltub värskete mõõdistuste arvust. Ainukesena on Tamsalul kasutuses riigi geodeetiline alus, sest nende kaardid on valminud Rootsi abiprogrammi raames üsna hiljuti.
Aluskaardid mõõtkavas 1:500 ja 1:2000 on enamasti moonutamata alusega (kui välja arvata kopeerimisest tulenevad võimalikud vead), need olid ka piiratud kasutusega. Seevastu teistes mõõtkavades valmistatud skeemid on tihti vastavalt kehtivatele nõuetele sihilikult moonutatud.
Kõige täpsema mõõtkavaga kaartide haldamine on tavaliselt linna või alevi maakorraldaja käes, kes kannab parandusi kaardile ainult värskete mõõdistuste alusel. Samas on mõningad täiendused sellised, mis ei vaja uusi mõõdistusi või ei jõuta neid kiiresti teha, sellisel juhul need tavaliselt täpsetel kaartidel ei kajastu.
4.3.3 Hoonete ja tänavate usaldusväärsus
Kaardi usaldusväärsus sõltub nii objektide asukohtade esitamise korrektusest (asukohatäpsus) kui sellest, kas kõik objektid on kaardil (täielikkus). Küsimusele "Millise usaldusväärsusega on kaardil majade asukohad?" vastas enamik linnu ja aleveid, et see on üle 90%. Vähesed linnad olid vastuse andnud ka meetrites, mis oleks sellele küsimusele korrektsem vastus olnud.
Andmete täielikkuse suhtes ei ole vastused optimistlikumad, ainult 5 asulat leidsid, et nende aluskaardil on kõik tänavad ja hooned korrektselt koos aadressnumbritega näidatud. Maksimaalseks veaks hinnati 10%.
4.3.4 Info aktualiseerimine
Praktiliselt kõikjal on kaardi aktualiseerimine korraldamata: uued majad kaardile kandmata, ümbernimetatud tänavad muutmata, lammutatud majad kustutamata. Väiksemates asulates see igapäevast tööd ei pruugigi segada, sest kohalikud teavad situatsiooni peast, kuid üleriigilise infosüsteemi loomisel võib aktualiseerimata info komistuskiviks saada. Ainult Narva ja Kiviõli märgivad, et aktualiseerimine on süstemaatiline. Tavaliselt parandatakse kaarti sealt, kus parasjagu on tehtud mõõdistamisi või väga vale situatsioon silma jäänud. Parandusi linna kaartidele (mis on tavaliselt ainult ühes eksemplaris) teevad linna enda töötajad, kuid nad võivad põhineda teiste ettevõtete tehtud mõõdistustel või uuringutel.
4.3.5 Kaartide nõrgimad küljed
Ülekaalukalt nimetati kaartide kõige nõrgemaks küljeks nende situatsiooni vananemist, so uued tänavad ja majad ei ole kaardile kantud, lammutatud või hävinenud majad ei ole kustutatud ja aadressandmete muutused ei ole kajastatud.
Kuna kaardid on paberil, siis on paljude parandustega kohad kulunud ning raskesti loetavad.
Aluskaartide digitaliseerimist ei pea linnad ja alevid ilma välitöödeta või isegi mõõdistamiseta otstarbekaks.
4.3.6 Digitaalkaartide seis linnades
Täielikult või osaliselt on mingisugusel kujul kaardid arvutis 16 linnal või alevil 96st küsimustikule vastanust. Rahvaloenduskaartide koostamisel ei ole otstarbekas kaardistada neid linnu uuesti juhul, kui korralik töö on juba tehtud. Seetõttu on siin toodud digitaalkaarti omavate linnade tabel koos kasutatava tarkvaraga (vt Tabel 10). Oluline on märkida, et paljude linnade kohta on olemas digitaalkaardid, kuid need ei pruugi olla linnavalitsuste käsutuses. Mitmed erafirmad on digitaliseerinud kaarte enda tarbeks, sageli on nad rahvaloenduskaartide jaoks piisava täpsusega.
Tähelepanu tuleb juhtida asjaolule, et praktiliselt ükski linn ei kasuta GISe, vaid CAD tarkvara digitaalkaartide haldamiseks.
Tabel 10 Omavalitsuste käsutuses olevad digitaalkaardid seisuga november 1996.
|
Asula |
Mõõtkava |
Andmeformaat |
Kommentaar |
|
Tallinn |
1:10 000 |
MicroStation |
vektorkaart |
|
1:2 000 |
MicroStation |
vektor- ja rasterkaart |
|
|
Tartu |
1:5 000, 1:2 000, 1:10 000, 1:50 000 |
APS RED ja APS MAP |
rasterkaart koos sellega seotud GIS andmetega |
|
1:2 000 |
MicroStation |
vektor- ja rasterkaart kaart |
|
|
1:500 |
MicroStation |
üksikud tükid vastavalt mõõdistustele |
|
|
Narva |
1:5 000 |
CorelDraw |
tõenäoliselt ei sobi rahvaloenduskaardiks |
|
1:2 000 |
MicroStation |
digitaliseerimine pooleli |
|
|
Pärnu |
1:5 000 |
MicroStation |
Kasutatakse ka MicroStationil põhinevat GISi |
|
1:2 000 |
MicroStation |
rasterkaart |
|
|
Viljandi |
1:2 000 |
MicroStation |
andmete kasutamine piiratud digitaliseerijaga kokkuleppe saavutamisega |
|
Rakvere |
1:2 000 |
MicroStation |
|
|
Valga |
1:2 000 |
MicroStation |
vektor- ja rasterkaart |
|
Antsla |
APS RED |
||
|
Elva |
1:2 000 |
APS RED |
peavad vajalikuks uue kaardi valmistamist |
|
Kehra |
1:2 000 |
MicroStation |
töös, osaliselt aktualiseerimata |
|
Maardu |
AutoCad |
sisaldab ehituskruntide piire ja tänavaid, mitte hooneid |
|
|
Otepää |
1:2 000 ja 1:5 000 |
AutoCad |
osaliselt mõõdistatud ja osaliselt digitud |
|
Saue |
1:2 000 |
ilmselt MicroStation |
suhteliselt uus info |
|
Tapa |
AutoCad |
ei ole veel valmis, tehakse välimõõdistuste alusel |
|
|
Türi |
AutoCad |
praegu digitud ainult krundid, ülejäänu skemaatiline |
|
|
Kuressaare |
MicroStation |
kruntide piirid ja tänavavõrk |
|
|
Kärdla |
1:2 000 |
MicroStation, MapInfo |
Statistikaameti rahvaloenduskaart |
|
Rapla |
1:2 000 |
MapInfo |
on aluskaardi alles tellinud |
|
Tamsalu |
1:2000 |
MicroStation |
ilmselt kõige kaasaegsemate meetoditega valmistatud linnaplaan Eestis, kuid kohapeal ei kasutata tarkvara puudusel. |
Digitaalse aluskaardi loomise plaani on pidanud veel Karksi-Nuia, Räpina, Keila, Põltsamaa, Paldiski, Haapsalu, Põlva, Kohtla-Järve, Jõgeva, Sillamäe, Paide, Loksa, Abja-Paluoja, Võru. Ülejäänud on pidanud seda võimalikuks alles pikemas perspektiivis, põhiliseks takistuseks on rahapuudus.
Paljud linnad ei pea otstarbekaks olemasolevate kaartide digitaliseerimist. Selle asemel leitakse, et oleks tarvis teha uued (aerofotogramm-meetrilised) mõõdistused. Samas on see väga kallis ja aeganõudev.
Digitaalkaartide loomisel tuleb kindlasti teha välitööd ei pääse, sest aadressandmed vajavad kontrolli ja korrastamist.
Tartu linn korraldas kinnisvara infosüsteemi konkursi, mis ebaõnnestus, kuna pakkumiste hind (0.9-1.3 miljonit krooni) ületab tunduvalt linnavalitsuse võimalused. Tallinna linn sõlmis kinnisvara infosüsteemi loomise lepingu Siemens Nixdorf Informaatiojärjestelmat-iga, mis sisaldab ka GIS osa.
4.3.7 Linna- ja alevivalitsuste koostööst Statistikaametiga
Statistikaameti poolt korraldatud küsitlusel uuriti ka linna- ja vallavalitsuste suhtumist koostöösse rahvaloenduskaartide valmistamiseks. Enamik linnu oli koostööks valmis, kuid oli ka selliseid asulaid, kus selleks vajadust ei nähtud. Samas ei olnud linnavalitustele teada täpselt rahvaloenduskaardile esitatavad nõuded, seetõttu on raske hinnata koostöövalmidust peale nende nõuetega tutvumist. Rahvaloenduse jaoks ei ole aluskaardi asukohatäpsus eriti kriitiline, oluline on info täielikkus, kuid linnavalitsused püüavad üldjuhul saavutada suurt geomeetrilist täpsust vaadates läbi sõrmede info täielikkusele.
Tundub, et oma vahenditega on korralikke kaarte võimelised ja valmis tegema ainult suuremad linnad (Tallinn, Tartu, Pärnu, Narva) ning üksikud väiksemad asulad entusiastide toel. See aga ei garanteeri kaartide olemasolu rahvaloenduse toimumise ajaks 2000. aastal või isegi vähemalt aasta varem, kui algab aktiivne loenduse ettevalmistamine.
Küsitluse põhjal on linnad alati valmis koostööks, kui Statistikaamet seda finantseerib ja linnavalitsused teevad kaardi ise või osalevad firmadelt tellitavas töös.
4.4 GISi struktuuri küsimused
4.4.1 GISi väikseim objekt
Rahvaloenduse GISi mõttes on kõige olulisem, milline on kõige "väiksem" objekt, mis kaardiga seotakse. Eestis on suund võetud sellele, et GISiga seotakse kõik hooned. Sama planeerivad ka kõik Euroopa Statistikaametid:
Hoonete koordinaatide määramine ja statistiliste andmete hoonetega sidumine annab sõltumatuse eksisteerivatest piiridest, tulemusena on võimalik teha paidlikumaid ja realistlikuma vastusega päringuid.
EuroStat piirdub GIS andmete detailsuses NUTS5 tasemega, kuid kvaliteetsete NUTS5 andmete tootmiseks peavad kõigil hoonetel olema määratud koordinaadid.
4.4.2 Loendusüksuste loomineLoendusüksusi on proovitud rahvaloendustel võimalikult vähe muuta, sest muidu on raske tagada andmete võrreldavust. Stabiilsed loendusüksused võimaldavad teha nende alusel ka geokodeeringut, analüüse ning ka teemakaarte.
Praktikas ei ole aga loendusüksuste stabiilsust võimalik saavutada.
Esimeseks tingimuseks loendusüksuse loomisel on alati olnud see, et nende piirid ei tohi lõikuda administratiivpiiridega. Seda on vaja eelkõige loenduse ettevalmistamisel. Administratiivpiirid on aga kerged liikuma, eriti praegu Eestis. Katastriteenistus võib vallapiire nihutada vastavalt otstarbekusele katastriüksuste kaupa ning teoreetiliselt võib niimoodi talu teise valda "üle kolida". Lisaks ripub Eestis õhus haldusreform, mistõttu võib ennustada paljude valdade liitmist.
Teiseks loendusüksuste loomisel järgitavaks tingimuseks on loendajate vahel ühtlase tööjaotuse määramine (seda muidugi traditsioonilise rahvaloendus puhul). Selleks peaks igal loendajal olema võimalikult võrdne arv isikuid loendada ning liikumine erinevate hoonete vahel optimaalne. Liikumisel tuleb arvestada teede ja tänavate asetusega, sildade olemasoluga. Loenduste vaheajal ehitatakse sildu juurde, mõned lagunevad, valmivad uued teed. Seega võiksid ka loendusüksused muutuda.
Kolmandaks tingimuseks peaks olema see, et igas üksuses on võimalikult sarnane elanikkonna tüüp. Seda eriti siis, kui loendusüksusi soovitakse kasutada ka hiljem analüüsipiirkondadena. Piire osavalt sättides võib nt Tartu linnas Annelinna naabruses olevate individuaalelamute loendustulemused suurte 9korruseliste elamute tulemustega ära keskmistada, tulemuseks on tegelikku seisu ebaadekvaatselt kajastav pilt. Üsna tõenäoline on, et eriti linnade läheduses muutub situatsioon kiiresti, tavaliselt uute elamurajoonide ehitamise tõttu. Kümme aastat tagasi laiusid põllud Tartu lähedal Ihastes, Tallinna uutest elamurajoonidest Tiskres ja Maarjamäel rääkimata. Analüüsi- ja esituspiirkondade valiku küsimusi vaata ka ptk 2.12.2.
Siiamaani suhteliselt vähearvestatud neljas tingimus võiks olla hilisematel kaartidel andmeid esitades loendustulemuste konfidentsiaalsuse tagamine. Üldreeglina ei peeta lubatavaks selliste piirkondade näitamist kaardil, kus esineb 1-2 mingi nähtuse esinemist, see võib ohustada isikute privaatsust. Konfidentsiaalsusküsimusi vt ka ptk 3.3.
Seega võiks loenduse tarvis Eesti jaotada neljal erineval moel. Need oleksid:
Rõhutada tuleb, et kõiki neid erinevaid piirkondi on lihtne genereerida eeldusel, et valminud on loenduskaardid hoonete tasemel.
Kõige lihtsam tundub järgida võimalikult täpselt 1989. aasta rahvaloendusel kasutatud loendusüksute piire, neid äärmise vajaduse korral kokku liites või poolitades. Selline lahendus ei ole aga kõige otstarbekam, sest loendusüksusi ei tehtud eelmisel loendusel eriti korrektselt, ka on tollal valmistatud ebatäpsete kaartide tõttu neid raske siduda praeguste kaartidega. Teatud stabiilsus loenduskaartidel on muidugi teretulnud (kuigi nagu eespool näidatud, võib kaasaegse GIS tehnoloogiaga teha väga palju erinevaid piirkondi), kuid siis on mõistlikum hoida sarnasena 2000. aasta ja 2010 aasta loendusüksused, mitte 1989. ja 2000. aasta üksused.
Teatud stabiilsust nõuab ka Eurostati poolt loodud NUTS (Nomenclature of Terriorial Units for Statistics) süsteem. Korra määratud piirid tuleks säilitada üle-euroopalise arvepidamise jaoks võimalikult muutumatuna. Kuna praegu Eesti kohta NUTS piire ei ole, siis oleks otstarbekas Eurostatile teatada uued, hoolikamalt tehtud piirid.
NUTS piiride määratlemisel lubatakse kasutada kahte kriteeriumit - normatiivset või analüütilist (Regions..., 1992, 1995). Normatiivsete kriteeriumide all mõeldakse eelkõige administratiivpiire, analüütilised (funktsionaalsed) kriteeriumid määratlevad NUTS piirid kas geograafiliste või sotsiaalmajanduslike sarnasuste põhjal. Praktilistel kaalutlustel baseerub NUTS peamiselt administratiivpiiridel. Kuna NUTS piire kasutatakse tihti analüüsiks, siis peaksid nende piirid olema pigem funktsionaalsetele kriteeriumidele vastavad. Eesti võiks kaaluda NUTS piiride loomist natuke keerulisemal, kuid korrektsemaid tulemusi andval viisil.
4.4.3 Linnalised ja maa-asuladLinna ja maa piiritlemine on probleemiks paljudes riikides (Franz&Sobel, 1995), eriti keeruliseks muutub rahuldava definitsiooni leidmine siis, kui on vaja kõrvutada eri riikide andmeid.
Seega on USA ja Austria linnarahvastiku võrdlemine üsna keerukas. US Bureau of the Census kavatseb luua kaks liiki maa-asulate jaoks, sest 98% USA pindala ühte gruppi liigitamine ei ole kõige otstarbekam.
Eesti tiheasustusalade rahvaloenduskaartide spetsifikatsiooni järgi tehakse linnaliste asulate rahvaloenduskaardid mitte administratiivpiirides, vaid tegelikkuses täis ehitatud alade kohta. Kahjuks puudub veel lõplik tiheasustusala definitsioon. Küll aga on olemas linnalise ja maa-asula määratlus Vabariigi Valitsuse määruses (nr 233 24. Sept 1996) "Eesti territooriumi haldusjaotuse seaduse rakendamine" - linnalised asulad on linn, alev ja alevik (vastavalt määrusele üldjuhul vähemalt 300 alalise elanikuga tiheasustusega ala), maa-asula on küla (hajaasustusega ala või üldjuhul vähem kui 300 alalise elanikuga tiheasustusega ala).
Kuna Eestis on tiheasustuse definitsioon vastu võtmata, siis olgu siinkohal ära toodud linnalisuse määramise kriteeriumide võimalik klassifikatsioon (Buscher, 1996):
GISi soetamine ja juurutamine võib kesta aastaid. Rahvaloenduse kuupäev on määratud ning seetõttu tuleb tähtaegadele pöörata erilist tähelepanu.
GISi edukust soodustavate tegurite loetelu on kohandatud Intergraphi vastavate kogemuste põhjal.
Joonis 37 Rahvaloenduse GISi loomise ajagraafik.
Siia tuleb gantti chart
4.6 Rahvaloenduskaardid 2000. aasta rahvaloenduse jaoksStatistikaamet on rahvaloenduskaartide valmistamist juba alustanud.
Tiheasustusalade kaardid (vt Joonis 38) taotlevad suuremat täpsust kui rahvaloenduse jaoks vaja on eesmärgiga jagada valmivaid andmeid (ja võimaluse korral ka kulusid) linnavalitsustega.
Tervet Eestit kattev 1:50 000 baaskaardil põhinev hajaasustusalade rahvaloenduskaart on suures osas valmis (vt Joonis 39). Kaotada tulevad veel valged laigud kaardil.
Eestis on umbes 200 küla ja alevikku elanike arvuga 300-2000, mille elanike tihedus ja hoonestuse tüüp sarnaneb linnale. Rahvaloenduskaartide koostamisel on nad juba probleeme tekitanud - nimelt ei ole võimalik seal kirjeldada kõiki hooneid 1:50 000 kaardil. Linnade kohta on olemas enamvähem korralik alusmaterjal, kuid alevike ja suurte külade rahvaloenduskaartide jaoks ei ole olemas praktiliselt ühtegi lihtsalt kasutatavat aluskaarti. Ilmselt tuleb rahvaloenduse ettevalmistamise raames ette näha alevike kaardistamine, sest omal jõul nad kaardiga hakkama ei saa.
Hajaasustuse rahvaloenduskaartidel torkavad silma kahte tüüpi "valged laigud": esiteks numbrivahemikega tähistatud hoonestuspiirkonnad ning teiseks baaskaardil hoonestusalaks liigitatud alad, kus ei ole ühtegi numbrit. Numbrivahemikuga tähistatud hoonestuspiirkonnad tuleb üle kontrollida ning iga hoone täpselt kaardile kanda, muidu kaob ära mõte kogu Eesti hoonete tasemel identifitseerimiseks. Baaskaardil hoonestusalaks liigitatud aladel tuleb samuti välitöid teha, sest tõenäoliselt asuvad seal uusehitised, mida eelmistel rahvaloenduskaartidel ei olnud. Näiteks Keila vallas on numbrivahemikega alasid ainult kogusummas ca 200 hoonega, kuid täiesti valged laigud on Laulasmaal jms suurtes suvilapiirkondades. Kui kümme aastat tagasi olid suvilapiirkonnad tõepoolest peamiselt suvilateks ehitatud ning talvel seal inimesi suure tõenäosusega ei olnud, siis nüüd tuleks ka need alad rahvaloendust läbi viies hõlmata.
Praeguseni on rahvaloenduskaarte tehtud mõnevõrra paberkaartide tehnoloogiat järgides - hajaasustusalade kaardid ühte moodi ja tiheasustusala kaardid teist moodi. Lähemas tulevikus tuleks luua ühine GIS ühtse andmemudeliga ning kaarte genereerida parasjagu sobivas mõõtkavas.
Joonis 38 Tiheasustusala kaart 1:5 000 (valmistatud REGIOs 1996. aastal). Erinevalt varasematest rahvaloenduskaartidest ei ole tarvis kaartidel infot moonutada. Loendajate töö lihtsustamiseks on näidatud ka trepikodade sissekäigud hoonetel, millel on rohkem kui üks sissekäiku või asub sissekäik ebaloogilises kohas.

Joonis 39 Hajaasustusalade rahvaloenduskaart 1:50 000 (RE Eesti Kaardikeskus 1996). Praegune leppemärkide valik ei pruugi olla lõplik.

4.7 Rahvaloenduskaartide väljatrükk
USAs osutus eelmise rahvaloenduse ajal kaartide arvutist väljatrükk pudelikaelaks, printerid ei jõudnud trükkida nii kiiresti kui oli arvestatud. Põhjuseks oli ilmselt see, et digitaalkaarte kasutati massiliselt esmakordselt ning nappis praktilisi kogemusi.
Kahjuks on Eestis olukord mõnes mõttes samasugune. Põhjuseks on arvutustehnika nii kiire areng, et keegi ei julge täpselt ennustada 1999. aasta lõpus kasutatavate (värvi)printerite jõudlust, hinda ja kulumaterjalide eripärasid.
Seetõttu põhinevad järgnevad hinnangud perifeeriaseadmete tänase päeva jõudlusele. Eeldame, et aeglasemaks printerid/plotterid enam ei jää.
Tänapäeval on levinud kahte tüüpi plottereid: juga- ja elektrostaatilised plotterid. Viimased on väga suure jõudlusega, kuid samas kapriissed ja kallid seadmed. Jugaplotterite ehitus on eriti lihtne, sisuliselt on tegemist suure printeriga. Jugaprintereid on samuti kahte tüüpi - lihtsamatel vahetatakse koos tindikassetiga alati ka trükipea, teistel asuvad pigmendireservuaarid eraldi.
Osade jugaprinterite puuduseks on niiskust- ja valgustkartvad tindid. Juhul, kui värvilise kaardiga kavatsetakse loodusesse minna või neid kaua arhiivis säilitada, tuleb seda kindlasti arvestada.
Tõenäoliselt osutuvad turul võitjaks jugaplotterid, seetõttu on arvutused tehtud jugaplotterite töökiirusest lähtuvalt. Võimalik, et kasutada saab ka veel kolmandat tüüpi seadmeid, kuid oma ebastandardsuse tõttu on nad ilmselt ka üsna kallid.
4.7.1 Tiheasustusalade rahvaloenduskaardidTiheasustusalade kaartide mõõdud on maksimaalselt 50x70 cm, sellise kaardi trükkimiseks läheb vaja A1 formaadis plotterit. Sõltuvalt plotteri mälumahust võtab ühe A1 formaadis lehe trükkimine aega 5-20 minutit. Siia tuleb lisada ka veel trükifaili ettevalmistamise aeg GIS programmi poolt. Suurte töömahtude jaoks mõeldud GIS tarkvara suudab aga jagada tööd nii, et järgmist kaarti valmistatakse ette eelmise kaardi trükkimise ajal ja seega lisaaega ei kulutata. Kõiksugu ajakadusid arvestades peaks jõudlus olema kõige halvemal juhul 2 kaardilehte tunnis plotteri kohta. Loodetavasti saab uuemaid plottereid ning suurt plotteri operatiivmälu kasutades kiirust 2-3kordistada.
Eesti linnade mahutamiseks läheb vaja ca 150 kaardilehte, so 70 töötundi. Ühe eksemplari kõigi Eesti linnade tiheasustusalade kaarte on võimalik trükkida 1 nädala jooksul, kui töö organiseerida kahes vahetuses. Ilmselt oleks vaja kahte värvilist eksemplari, see lisab veel ühe nädala.
Lisaks suureformaadilisele kaardile läheb vaja ka väikeseid väljavõtteid igale loendajale. Loendajate kaardid ei ole suuremad kui A3 formaat, seega on nende trükkimisel võimalik kasutada A3 formaadis värvilisi tindipritsprintereid. A3 formaadis printerid ei pruugi olla kiiremad kui suured plotterid, seadmed on ise oluliselt odavamad. Lisaks saab loendajate kaarte ning suuri kaarte printida samaaegselt. Paari aasta pärast ilmuvad turule ka loodetavasti kiiremad A3 formaadis värvilised laserprinterid (siiani on värvilaserid levinud ainult A4 formaadis).
Kõigist tiheasustusalade rahvaloenduskaartidest kahe must-valge kserokoopia tegemine võtab aega umbkaudu 1 nädal. Seega tuleks linnade rahvaloenduskaartide väljatrükiks arvestada 1 kuu.
Linnade kaartidele lisanduvad ka 140-200 aleviku ja suure küla rahvaloenduskaardid. Asulate väikeste mõõtmete tõttu peaks nad ära mahtuma A3 formaadis paberilehele ning seetõttu saab kasutada odavamaid värviprintereid. Alevike rahvaloenduskaartide komplekti (2 värvilist ja 2 must-valget) valmistamine võtab aega maksimaalselt 2 nädalat.
4.7.2 Hajaasustusalade rahvaloenduskaardid
Hajaasustusalade rahvaloenduskaartide mõõdud on 50x50cm, neid valdade kaupa välja trükkides tuleks Eestis trükkida kuni 400 lehte kaarte. Arvestades kaartide trükkimise kiiruseks 2 kaardilehte tunnis, vajaks kogu Eesti 1:50 000 kaartide trükkimine kuni 3 nädalat, kahe eksemplari puhul 1.5 kuud. Teatud piirkondade kohta tuleb ilmselt kaart trükkida mõõtkavas 1:25 000, sest muidu ei ole üksikud hooned eristatavad. Lisades siia kserokoopiate tegemise tuleks hajaasustuse rahvaloenduskaartide väljatrükiks arvestada 2 kuud.
4.8 Rahvaloenduse GISi maksumust määravad tegurid
Rahvaloenduse GIS erineb ülejäänud infosüsteemist selle poolest, et temas sisalduvad andmed (sh kaardid) tuleb enamasti väljastpoolt Statistikaametit tellida (võrdluseks: rahvaloenduse läbiviimist ju mujalt ei tellita).
Järgmisel rahvaloendusel tuleb arvestada, et kedagi enam valitsuse korraldusega (tasuta) tööle sundida ei saa, iga töö eest tuleb ka maksta.
Statistikaameti kaardid on kasulikud paljudele organisatsioonidele nii avalikus kui erasektoris. Samal ajal on nad kõik suuremas või väiksemas rahapuuduses. Seetõttu oleks nendelt üsna raske oodata Statistikaameti investeeringutes osalemist. Teisest küljest on Statistikaameti huvi kaasata rahvaloenduskaartide väljatöötamisse rohkem partnereid kulude jagamiseks.
Ametnike jaoks on suur vahe, kas raha kulutab tema või mõni teine ametkond. Maksumaksja jaoks ei ole aga oluline, millisest taskust riik raha võtab, et vajalik asi teoks teha.
Rahvaloenduskaartide ja -GIS loomise kulud võivad tunduda suured, kuid peale rahvaloendust tuleb umbes aasta möödudes põllumajandusloendus, kus saab kasutadasamu algandmeid. Seega tuleks osa GISi maksumusest vaadata ka kui pikaajalist investeeringut põllumajandusloenduse läbiviimiseks.
Kaartide loomise kulutused on erinevatel hinnangutel suurel määral kõikunud. Oluliseks faktoriks on siin linnade osalemise soov või soovimatus ning nende tehniline tase ja kvalifikatsioon.
Kulusid on võimalik olulisel määral vähendada tagades omavalitsuste aktiivne, kvaliteetne ning lisakulutusteta osalemine projektis. Isegi siis, kui kaardid kontrollitakse valdades/linnades tuleb ette näha kohapeal tehtud töö kontrollimine ning tõenäoliselt ka nende koolitamine.
Rahvaloenduse ettevalmistamine ning loendusel kogutud andmete kasutamine on tööd, mida Statistikaamet peaks olema võimeline tegema omas majas, ilma alltöövõtjateta. Selleks on vaja GIS tarkvara, piisavalt võimsat riistvara ning koolitust. GIS tarkvara hinna ennustamine on suhteliselt raske, sest GISide hinnadjärgmise 2 aasta jooksul ilmselt alanevad tuntavalt.
Rahvaloenduse kasulikkus ühiskonnale sõltub paljuski sellest, kuivõrd on selle tulemused kättesaadavad asjahuvilistele. Seetõttu tuleb kohe alguses projekteerida ning ette valmistada rahvaloendusandmete kiire ja tarbijasõbralik levitamine. Seda tuleb teha mitmel tasemel - spetsialistidele ja tavakasutajatele ning mitmes vormis - CD-ROMid, raamatud, atlased jms. Rahvaloendusandmete õnnestunud levitamine tõstab kindlasti Statistikaameti autoriteeti, mis omakorda soodustab korrektsete andmete jõudmise Statistikaametini.
Andmete levitamise hind peaks olema määratud nii, et ta kataks andmete vormindamise, trükkimise ja reklaamikulud. Seega andmete levitamine ise rahvaloenduse GISi kulusid tõsta ei tohiks. Kaaluda võib rahvaloendusandmete lõpptöötlusõiguse litsentside müümist
Eestis ei ole riik sekkunud ruumiandmete vabasse liikumisse, kuid teisest küljest on nõrk süsteem toonud kaasa iga ametkonna erineva suhtumise riigile kuuluvatesse andmetesse. Mõned neist on väga liberaalsed, teised vastupidi. Ühe linna aeglus ohustab juba prooviloenduse läbiviimist.
Praktika näitab, et isegi seaduste ja lubade olemasolu ei ole andmete levitamiseks piisav. Tüüpiline põhjendus andme mittelevitamiseks on "lõplikult kinnitamata hinnad", mis mõningatel juhtudel on kinnitamata juba vähemalt aasta.
7
4.9 Aktualiseerimine
Niipea, kui GIS andmebaasi saab lugeda valmisolevaks, hakkab ta vananema. Sama juhtub ka rahvaloenduskaartidega ning -GISiga, sest tööde suure mahu tõttu tuleb kaardistamisega alustada mitu aastat enne tegelikku loendust. Otstarbekas oleks koopereeruda teis(t)e organisatsiooni(de)ga, kes on samuti huvitatud rahvaloenduskaartidel oleva info pidevast kaastajastamisest. USAs näiteks sõlmis Census Bureau vastava lepingu US Postal Service-ga (Franz&Sobel, 1995). Kokkulepe leiti olevat isegi nii oluline, et Kongress võttis 1994. vastu vastava seaduse - Census Address List Improvement Act. TIGER-andmete digitaliseerimine toimus koostöös US Geological Survey-ga, andes tuntava majandusliku efekti (MckKenzie&LaMacchia, 1987)
US Census Bureau on algatanud ka spetsiaalse programmi TIP (TIGER Improvement Programme,
http://www.census.gov/geo/www/partnership.html, http://www.census.gov/rocha/www/tip.html), milles kutsutakse kohalikke omavalitusi üles osalema TIGER-andmebaasi pideval täiendamisel ja kaasajastamisel). Omavalitsusi julgustatakse parandama nii kaarte kui saatma lihtsalt täiendusi aadressloenditesse, korrigeerima piire jms. Ilmselt sobiks analoogiline programm ka Eesti tingimustesse.
4.10 Soovitused
Järgnevalt on toodud soovitused, mis põhinevad peatükis 4 toodud põhjendustel. Kasutusmugavuse huvides on lisatud ka viide konkreetsele punktile, kust leiab detailsema info. Soovitused ei ole toodud tähtsuse järjekorras.
|
1. |
Enamikus väga halvas seisukorras varasemate rahvaloenduste kaardid tuleb skaneerida lähema 2-5 aasta jooksul, muidu muutuvad nad kasutuskõlbmatuks. Uurida tuleks ka nt Tartu Ülikoolis kogutud andmete kasutatavust. Peale skaneerimist saab alustada praeguste andmete sidumist eelmiste rahvaloenduste andmetega (vt ptk 4.2). |
|
2. |
Lahendada tuleb ka nende asulate kaardiprobleem, kes väidavad ennast olevat täiesti ilma kaartideta (vt ptk 4.3.1). Oma vahenditega on korralikke kaarte võimelised valmistama ainult suuremad linnad nagu Tallinn, Tartu, Narva ja Pärnu, ka nemad ei garanteeri digitaalkaartide olemasolu aastaks 2000 (vt ptk 4.3.7). Põhimõtteliselt ei ole vahet, kas riik annab omavalitsustele raha (riigieelarvest toetatakse praktiliselt kõiki omavalitsusi) selleks, et nad saaksid endale lubada digitaalkaardistust või eraldada riigieelarvest raha Statistikaametile suure osa asulate kaartide tegemiseks. Tsentraliseeritud ettevõtmine on isegi odavam. |
|
3. |
Ainult 1/4 linnakaartidel on märgitud valmimisaasta, eeldatavalt on nad valminud ajavahemikus 1980-1989. Aastaarvu puudumine takistab oluliselt kaardi kasutamist rahvaloenduse alusmaterjalina (vt ptk 4.3.4). |
|
4. |
Arvestada tuleb, et praktiliselt kõikides linnades on kaardi aktualiseerimine korraldamata: uued majad kaardile kandmata, ümbernimetatud tänavad muutmata, lammutatud majad kustutamata. Üleriigilise infosüsteemi loomisel võib aktualiseerimata infole lootmine komistuskiviks saada (vt ptk 4.3.4). |
|
5. |
Oluline on märkida, et paljude linnade kohta on olemas digitaalkaardid, kuid need ei pruugi olla linnavalitsuste käsutuses. Mitmed erafirmad on digitaliseerinud kaarte enda tarbeks, sageli on nad rahvaloenduskaartide jaoks piisava täpsusega ja neid tuleks kasutada (vt ptk 4.3.6). |
|
6. |
Aluskaarte ostes nii linnadelt kui erafirmadelt tuleb lepingud nii sõlmida, et Statistikaamet ei seaks endale liigseid piiranguid info kasutamisel. |
|
7. |
Hoonete koordinaatide määramine ja statistiliste andmete hoonetega sidumine annab sõltumatuse eksisteerivatest piiridest, tulemusena on võimalik teha paidlikumaid ja realistlikuma vastusega päringuid (vt ptk 4.4.1). |
|
8. |
GISi abil tuleks genereerida erinevad piirkonnad rahvaloenduse ettevalmistamiseks, läbiviimiseks, andmete analüüsiks ja tulemuste esituseks. Eesti võiks kaaluda NUTS piiride määramist analüütilistele kriteeriumidele põhinedes (vt ptk 4.4.2) |
|
9. |
Rahvaloenduse kuupäev on määratud ning seetõttu tuleb tähtaegadele pöörata erilist tähelepanu. |
|
10. |
Jugaprinterid on mugavad, kuid nende tint ei pruugi olla niiskus- ja valguskindel. Kõige pessimistlikumaid arvutusi tehes võtab tiheasustusalade rahvaloenduskaartide valmistamine (2 värvilist ja 2 must-valget koopitat + loendajate kaardid) aega 1 kuu, hajaasustusalade kaartide valmistamine 2 kuud (vt ptk 4.7). |
|
11. |
Statistikaametis on vaja luua GIS projektijuhi töökoht, kelle ülesanne on konkursside ettevalmistamine, tarnijatega suhtlemine ning lepingute järelvalve (vt ptk 4.5). |
|
12. |
GISi spetsifikatsiooni väljatöötamise käigus on soovitav alustada kontakte potentsiaalsete tarnijatega, sest nende vastuste aktiivsuse põhjal on võimalik koostada konkursi short-list (vt ptk 4.5). |
|
13. |
Statistikaameti tellimusel valminud digitaalkaarte ning GIS andmebaasi teenuseid tuleks müüma hakata niipea kui võimalik, sest info pidevalt vananeb (vt ptk 4.5). |
|
14. |
Väga oluline on rahvaloenduse GISist kui projektist kokkuvõtete tegemine vahetult peale loendust. GIS töögrupp ei saa enne laiali minna kui lõpparuanne on valminud (vt ptk 4.5). |
|
15. |
Rahvaloenduse kaartide loomisele kuluvaid summasid on võimalik vähendada kui õnnestub tagada omavalitsuste aktiivne, kvaliteetne ning lisakulutusteta osalemine projektis (vt ptk 4.1.1) |
|
16. |
Rahvaloenduse ettevalmistamine ning loendusel kogutud andmete kasutamine on tööd, mida Statistikaamet peaks olema võimeline tegema omas majas, ilma alltöövõtjateta. Selleks on vaja GIS tarkvara, piisavalt võimsat riistvara ning koolitust (vt ptk 4.1.6). |
|
17. |
Andmete levitamise hind peaks olema määratud nii, et ta kataks andmete vormindamise, trükkimise ja reklaamikulud. Seega andmete levitamine ise rahvaloenduse GISi kulusid tõsta ei tohiks. |
|
18. |
Statistikaameti huvides on oma tegevuse teavitamine linnades, nendele spetsifikatsioonide, kodifikaatorite jms saatmine. Nii saab kasvatada meeldivaid koostööpartnereid tuleviku jaoks. |
|
19. |
Statistikaamet on Ida-Euroopas arvestataval tasemel, GISi alal ilmselt tugevalt keskmisel Euroopa tasemel. Oma tegemistest tuleks aga rohkem teada anda, materjalid inglise keelde tõlkida ning WWWsse üles panna. Oluline on ka konverentsidel esinemine. |
Viimati muudetud: 06/11/97
Copyright © 1997, Teet Jagomägi
HTML & Design: Kalver Keskküla